Kentdale, WA, 6333

$1,330,000

Sold on 19/09/2025
  • 1
  • 1
  • 552,000 Square Meters

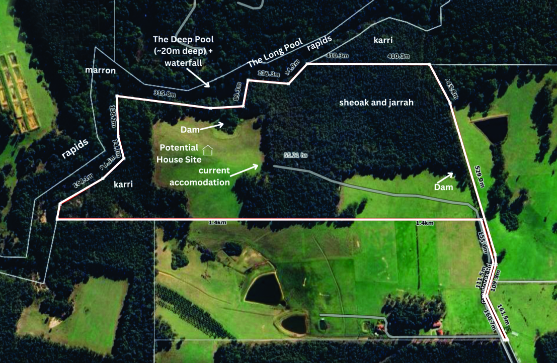
Around a Kilometre of River Frontage | North Facing Pasture & Mature Forest | 1x1 Tiny House Accommodation on Site | 136 Glorious Denmark Acres.

Around a Kilometre of River Frontage
North Facing Pasture & Mature Forest
1×1 Tiny House Accommodation on Site
136 Glorious Denmark Acres

*In conjunction with Kim Barrow of Ray White Denmark

NOW AVAILABLE!!

This is a legacy property. Truly rare earth and a once in a lifetime purchasing opportunity. One to secure now and hand down through generations.

One of the most glorious landholdings in the entire shire of Denmark, this is the type of property that is sooo tightly held and just never ever turns over. True once in a lifetime real estate!

Just beyond the end of the main tourist drive through the gorgeous hills, valleys and vineyards that Denmark is synonymous with is this exceedingly private and tranquil escape.

The anticipation is palpable as you approach along the tree lined entrance way and over the timber bridge across the water course.

With around a kilometre of river frontage which includes deep pools and swimming holes, rapids and waterfalls and abundant Marron and Black Bream fishing, the most remarkable of lives awaits you here.

Around 136 Acres, with a central high point and beautiful gradual north facing slopes running down to the waters edge.

About a third pasture, which is fenced and currently running cattle. The other 2/3 is amazing mature forest including stands of huge Karri along the river line as well as blocks of Jarrah and Sheoak.

Cute temporary accommodation of onsite van, with under cover timber decked annexe and cafe blinds, is complimented with ablution blocks and under cover carport for machinery etc.

Enjoy a choice of home sites flooded with warm winter sunshine and water views to build your southern forests dream home!

All within easy reach of some of Denmark’s iconic beautiful beaches…

Register your details by email to [email protected] including your full name and mobile number to be amongst the first to view.

DISCLAIMER: Whilst every care has been taken with the preparation of the particulars contained in the information supplied and believed to be correct, neither the agent nor the seller nor servants of both, guarantee their accuracy. Interested persons are advised to make their own enquiries and satisfy themselves in all respects. The particulars contained are not intended to form part of any contract.

Property Details

  • Land area: 552,000 Square Meters
  • Property type: residential
  • Property subtype: house